Skip to content

General

El gusano soldado (Spodoptera exigua) se ha convertido en un problema habitual para los agricultores, debido a su resistencia a casi todos los insecticidas y su capacidad de desarrollarse en vegetación silvestre durante el verano. Es muy polífago, alimentándose de plantas de más de 20 familias. Es una plaga grave en invernaderos, donde se alimenta de plantas ornamentales, tales como el crisantemo, la gerbera, la rosa y las plantas en maceta. Es una plaga importante en pimiento, tanto en invernadero como en el campo.

Soluciones biológicas para Gusano soldado

Filtros:
Borrar todos los filtros
Mostrar todo Mostrar menos
productos encontrados:

¿Dudas o asesoría?

Encuentra un distribuidor

Aprender más sobre

Síntomas y daños

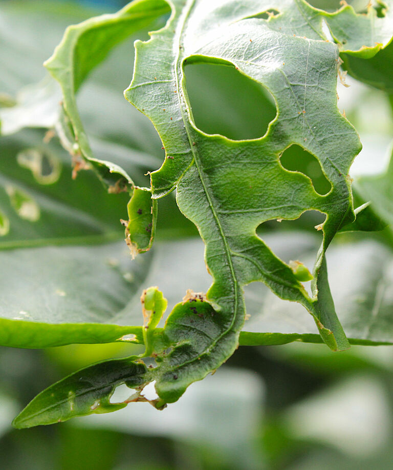
Otros gusanos migran a la parte superior de la planta donde se alimentan, sobre todo, de las yemas apicales. Realizan orificios grandes en la hoja, desgarrando, a veces, la hoja hasta el nervio central. Las flores y yemas también son atacadas. Estos graves daños tienen consecuencias considerables para el crecimiento del cultivo. Si la población de gusanos es sustancial, los daños pueden desplazarse a los tallos y en el peor de los casos al fruto, cuyo contenido pueden llegar a consumir completamente. En los cultivos ornamentales, el mayor daño se observa en los ataques a las flores y yemas.

Ciclo de vida y aspecto del gusano soldado.

El gusano soldado (Spodoptera exigua) es una polilla anodina y pequeña que se esconde durante el día y solo es activa durante la noche. Las alas delanteras tienen un color gris-marrón con tonos marrón oscuro o negros. La cabeza y el tórax son marrones y el abdomen es gris-marrón. Las alas delanteras tienen una marca en forma de riñón y de color amarillento, las traseras son blancas y tienen una venación marrón claramente definida.

El gusano soldado (Spodoptera exigua) pone sus huevos en paquetes, a veces en varias capas, y encima se coloca una masa de pelos blancos y algodonosos con escamas del cuerpo de la madre. Los huevos, normalmente grises pero a veces verdes o rosas, se ponen por la noche, preferentemente en la parte inferior del cultivo en el envés de las hojas y en grupos de 10 a 150 huevos.

Los huevos eclosionan tras unos días y de los mismos emergen gusanos pequeños de color verde amarillento. Su color cambia gradualmente a amarillo, verde, marrón o incluso negro. El color y patrón de los gusanos varía mucho y depende en cierta medida de la planta hospedante, de la fase de desarrollo y del clima. Un gusano soldado (Spodoptera exigua) plenamente desarrollado puede medir de 25 a 38 mm de largo, tiene rayas dorsales oscuras e irregulares y una banda amarilla que recorre el largo del cuerpo en ambos lados y encima de la cual se observa un punto negro en cada segmento.

Los gusanos jóvenes viven en grupos y tejen telarañas sobre las hojas, debajo de las cuales permanecen hasta el tercer o cuarto estadio. Los gusanos mayores se desplazan activamente y pueden recorrer distancias considerables. Por eso, los gusanos del mismo grupo de huevos pueden provocar daños en varios lugares en el cultivo. El gusano soldado (Spodoptera exigua) se alimenta mayormente por la noche y se esconde durante el día, a excepción de los estadios más jóvenes que se alimentan durante el día. Los gusanos totalmente desarrollados se desplazan al suelo para preparar la pupación. Aunque la pupación a veces tiene lugar en el cultivo, suele ocurrir en la superficie del suelo en un capullo suelto, que consta de partículas de suelo pegadas con una secreción pegajosa. Las pupas son marrones y miden de 15 a 20 mm de largo y se parecen a las de otras polillas nocturnas. Tras 5 a 10 días la polilla adulta emerge de la pupa.

¿Necesitas ayuda?